Halewick Lane battery storage site


Background

Development of the county council’s battery storage site at Halewick Lane, Sompting is on course for completion by the end of 2026.

The former county council waste site, which has been vacant for more than a decade, will soon be home to a state-of-the-art, 16MW battery system capable of storing electricity and supplying it to the grid when it’s needed.

The project is an important part of the county council’s Energy Strategy which has already delivered two solar farms, one with battery storage, and other projects including more than 70 solar PV systems on schools and council buildings and energy efficiency upgrades. 

Large energy storage systems like the one at Halewick Lane will help to improve the resilience of the electricity grid, enabling us to integrate more renewable energy generators into our energy supply and switch to heating systems powered by low carbon electricity.

Batteries help to maintain the frequency of the electricity grid when there is less generation available from solar and wind farms.

The county council will also generate additional revenue by providing this service to the grid operators.


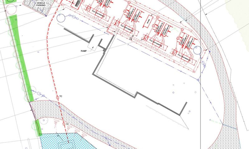
What are we building?

The battery system at Halewick Lane is designed to be safe, quiet, and unobtrusive.

The batteries will be located on a section of the Halewick Lane site in specially designed containers and protected by 24-hour CCTV within the secure compound.

The system will be monitored remotely and maintained throughout its lifetime by the county council’s specialist contractors, who will access the site from time to time.

The system is being built on our behalf by Enable Infrastructure.

Green Frog Connect are in charge of work to connect the system to the electricity grid.

 


Latest update

April 2026

We signed the construction contract with Enable Infrastructure at the end of October 2025. They previously worked with us to design the system.

Despite wet weather during the first part of the year, contractors have made very good progress on site. After establishing the site compound, welfare facilities, storage and parking on site, they have focused on:

  • breaking up and removing parts of the existing concrete base, which is in poor condition, and repurposing some of the material on site
  • creating a new access road within the perimeter to assist one-way vehicle movements and make the site safer. The road and drainage system is now in place
  • preparing the area at the northern edge of the compound where the secure containers housing the batteries and inverters will be located
  • installing a second access gate at the southern end of the site to accommodate the new access road. This is now in place
  • building foundations for a retaining wall in the area below where the battery containers will be located
  • installing a temporary CCTV system

These preparatory works will continue during the spring. During construction we will continue to work with Enable Infrastructure to make sure that local people are informed about the work, and that any disruption is minimised.

If you have any questions about this information, or the project in general, please contact the county council’s Energy Services Team at energyprojects@westsussex.gov.uk.

Click for further information on the county council's renewable energy projects.

Share this